Ref.: 6466

Exclusivo terreno en venta en Xixerella, La Massana

Andorra - Xixerella | Residencial

Superficie
3213 m2
dormitorios
0
baños
0
Precio
850.000 €

Solicite más información sobre Exclusivo terreno en venta en Xixerella, La Massana

Ref.: 6466

| 6466

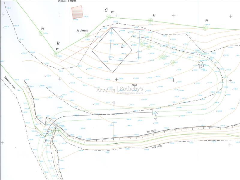
Se ofrece un magnífico terreno de 3.213 m² en un precioso paraje natural de Xixerella, La Massana. La parcela está orientada al sureste, garantizando sol y luz natural durante todo el día. El terreno permite construir una borda o caseta bajo régimen de Precario, con dos posibilidades: - 10 x 10 m (100 m²) - 10 x 15 m (150 m²) Una oportunidad única para quienes buscan un entorno natural, tranquilo y soleado, ideal para disfrutar de una vivienda unifamiliar en plena naturaleza.

Características

Calificacion Energetica D

Distancias

A menos de 5km

  • Erts 1,4 km
  • Pal 2,5 km
  • Arinsal 3,1 km
  • La Massana 3,8 km
  • Escas 4,9 km

A menos de 10km

  • Sispony 5,5 km
  • Aldosa (L' ) (La Massana) 6,2 km
  • Anyós 6,2 km
  • Ordino 6,2 km
  • Sornàs 7,0 km
  • Ansalonga 7,6 km
  • La Cortinada 8,6 km
  • Arans 9,4 km

A la capital

  • Escaldes-Engordany 9,3 km
  • Andorra la Vella 9,9 km

Siguientes pasos

Contacte con nuestro equipo de consultores inmobiliarios para saber más sobre esta exclusiva promoción.

Solicite más información sobre Exclusivo terreno en venta en Xixerella, La Massana

Ref.: 6466